Papel da Enfermagem (Escuta Inicial + ECG)
A etapa da Enfermagem é essencial para garantir a correta execução do fluxo OCI Cardiologia. É durante a Escuta Inicial que são registrados sinais vitais, CIAP2, antropometria, glicemia (quando aplicável) e o procedimento preparatório para o ECG, além de permitir que o sistema sinalize ao médico que o paciente está pronto para ser chamado.
Somente após a Escuta Inicial e a realização do ECG, o paciente pode seguir para a consulta com o cardiologista.
Este capítulo descreve todas as ações obrigatórias da enfermagem, com pontos específicos para inserção de imagens da interface do sistema.
1. Recebimento da Lista de Pacientes OCI
No início do dia, a equipe de enfermagem deve receber a lista impressa ou por email contendo todos os pacientes identificados previamente como candidatos à OCI Cardiologia.
Essa lista permite:
-
Planejar o atendimento
-
Garantir que todos passem pela Escuta Inicial
-
Acompanhar quem já realizou o ECG
-
Evitar chamados indevidos pelo médico
2. Abertura da Escuta Inicial
Quando o paciente comparecer à unidade, abra a Escuta Inicial a partir da fila do cardiologista, para isso, altere o filtro do profissional da fila ou especialidade na fila.
O registro da escuta inicial deve ser feito sempre clicando no ícone
.
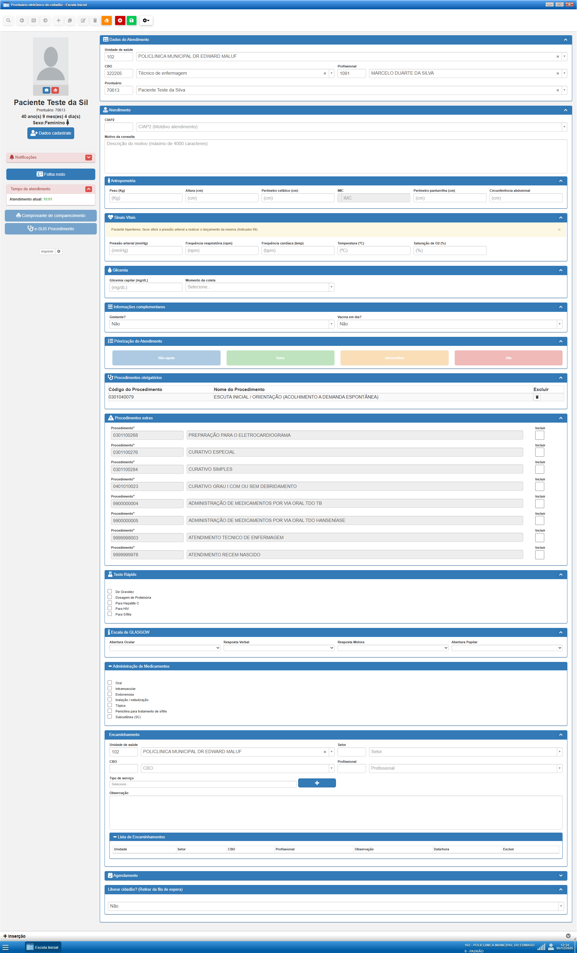
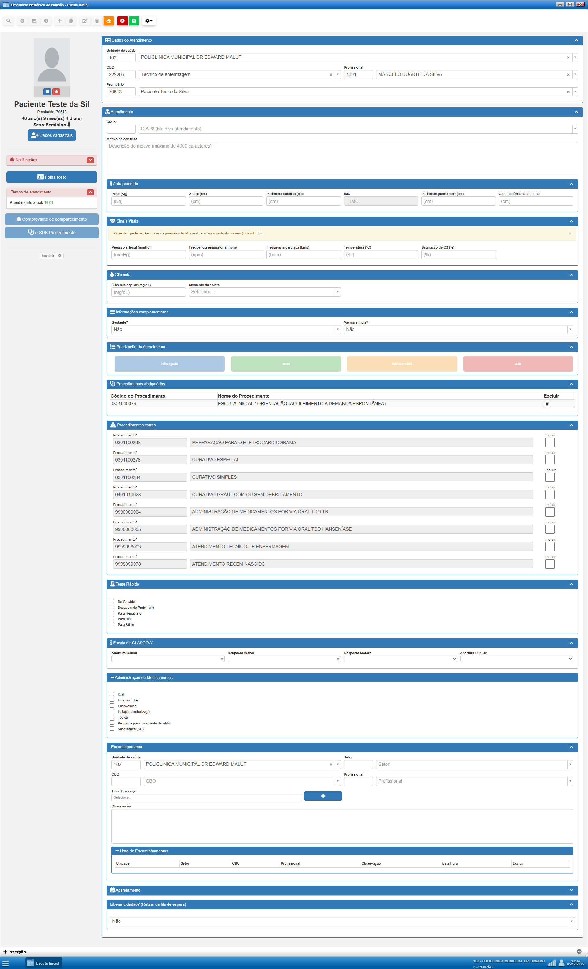
O sistema apresentará a tela padrão de Escuta Inicial contendo:
-
Dados do paciente
-
Campos estruturados
-
Motivo da consulta
-
CIAP2
3. Registro do CIAP2
No campo de CIAP2, deve ser lançado:
CIAP2 – 42 (Eletrocardiograma)
Este código padroniza a Escuta Inicial para todo paciente da OCI Cardiologia, garantindo consistência no registro clínico.
O campo “Motivo da consulta” pode ser preenchido de forma descritiva, conforme relato do paciente.
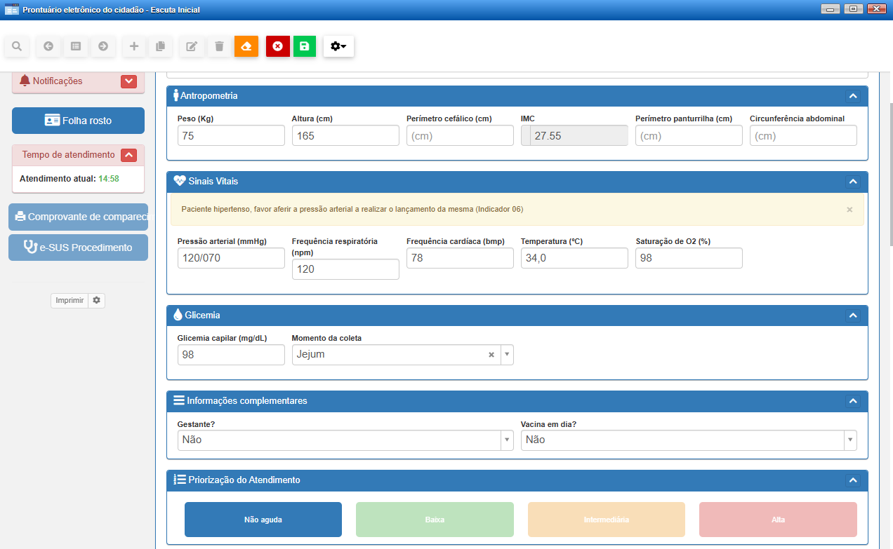
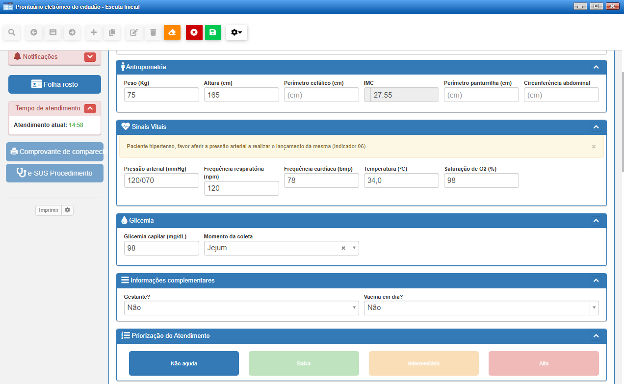
4. Preenchimento Completo dos Campos Estruturados
É importante destacar que alguns outros campos podem servir de apoio adicional e fundamental ao atendimento médico, portanto, na Escuta Inicial também é indicado, sempre que possível, conter todos os dados estruturados preenchidos. São eles:
4.1 Antropometria
-
Peso
-
Altura
-
IMC (automático ou manual)
4.2 Sinais Vitais
-
Pressão arterial
-
Frequência cardíaca
-
Saturação
-
Frequência respiratória
-
Temperatura
4.3 Exames de Enfermagem
-
Glicemia capilar (quando aplicável)
Esses campos estruturados fornecem ao cardiologista uma visão clínica segura para análise prévia antes da consulta.
5. Priorização do Atendimento
A priorização na Escuta Inicial não é uma classificação de risco, embora utilize cores no sistema.
Para todas as consultas da OCI Cardiologia, a priorização deve ser:
Azul – Não Aguda
Isso diferencia o fluxo OCI de outros atendimentos e organiza a fila corretamente.
6. Procedimento Pré-Consulta (Obrigatório)
Note que ao preencher os campos estruturados de antropometria, sinais vitais e exames, o sistema colocará alguns procedimentos automáticamente em Procedimentos Obrigatórios, porém, também será necessário registrar o procedimento executado pela enfermagem:
0301040079 – Preparação para o Eletrocardiograma
Esse procedimento deve ser lançado sempre que o paciente estiver na OCI Cardiologia.
7. Conclusão da Escuta Inicial
Antes de salvar:
-
Verificar se todos os campos estão preenchidos
-
Confirmar o CIAP2 42
-
Confirmar a Priorização Azul
-
Confirmar o Procedimento 0301040079
Após conferir:
Selecione “Paciente não liberado”
Salve a Escuta Inicial
Isso fará com que o sistema exiba o ícone de “Escuta Inicial Realizada” na fila de atendimento médico.
8. Importância do Registro Completo
A Escuta Inicial é o gatilho que habilita o cardiologista a chamar o paciente.
Sem o símbolo de Escuta Inicial
concluída, o paciente não deve ser chamado para a consulta.
A realização adequada desta etapa:
-
Evita falhas no fluxo
-
Organiza a unidade
-
Garante segurança clínica
-
Permite que a OCI seja executada sem retrabalho
-
Minimiza erros na APAC e no faturamento








Nenhum comentário